Introducing: The Lomond Vinothèque
The more rare, the more unique, the more special a wine is… The more important it is to share with our cherished Cellar Club Members.
A little over 3 weeks ago we introduced you to Sugar and Spice. These two vines located on opposite sides of the farm in vastly different soils contribute to two of our most beloved wines: Sugarbush Single Vineyard Sauvignon Blanc and Conebush Single Vineyard Syrah.
We revisit them today in the middle of November, as they begin to take on one of the most critical stages in the vineyard cycle: flowering.

Before we get into the details of flowering and why our winemakers and viticulturists begin to lose sleep this time of year – let’s first have a look at Sugar and Spice.
When we last saw them they were in the middle of bud break. Infant leaves were beginning to emerge from the dormant trunks and small shoots were slowly coming to life. Still, when you looked out over the different vineyard blocks, it was mostly wood that filled the view.
Today it is very different. Our two vines are filled with life as the shoots continue to climb and some leaves reach maturation.


At the current stage of the vineyard cycle we can see a lot of cultivar-specific characteristics showing through. The two photos above of Sugar (Sauvignon Blanc on the left) and Spice (Syrah on the right) show very contrasting growth.
Syrah is a vigorous vine. Already its’ shoots are much taller and leaf development much farther along than Sugar.
But when we take a closer look it’s clear that Sugar is in fact still in the lead as far as the vineyard cycles go.


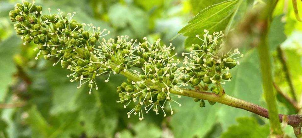
Here we see the current flowering status of both vines. To better understand, let’s first discuss this stressful phase of the vineyard cycle.
Grapevines are hermaphroditic. What this means is unlike many other plants that rely on bees or other wildlife for pollination, vineyards have both male and female parts which allow them to self pollinate.
These small green balls on what appears to be a very young cluster of grapes are called calyptra. These structures look like undeveloped grapes but are actually little cases containing the flower parts, protected by 5 petals. The stamen, or male part, has already come out on the Sauvignon Blanc. These are the off-white stick structures coming out of the calyptra. On the tips of them are the pollen sacks.
Soon, the petals of the calyptra will begin to open up and expose the pistil, or female part of the flower.
It is here where things get stressful.
Rain and wind are the biggest threats to this stage of the vineyard cycle. These are also two very common weather patterns we receive here in the cool-climate Cape Agulhas region. Too much of either can have a devastating effect on the years yield.
A 30% pollination rate on a cluster is a tremendous success. However, storms are sporadic and unpredictable here on the Southernmost Tip of Africa.
What makes this stage particularly challenging is the lack of control one has over it. The ability for the pollen at the end of the stamen to reach the pistil is completely in nature’s hands. A perfect reminder how special each new vintage really is.

We’ll check back in soon as fruit set begins to develop.
Source: https://www.lomond.co.za/
Lomond Wine Estate is set in the heart of the Cape Floral Kingdom just outside Gansbaai and is part of the Cape Agulhas Wine Route. The estate is set on sprawling farmlands that include a large dam filled with trout, a mystical Milkwood forest and a natural wetland that is abundant with plant and an...
View ProfileXplorio is your local connection allowing you to find anything and everything about a town.
Read MoreThe more rare, the more unique, the more special a wine is… The more important it is to share with our cherished Cellar Club Members.
We are privileged to be named a Social Responsibility and Environment Champion by UK importer, Hallgarten.
Named the best Shiraz blend in the 2022 Shiraz SA Challenge, this cool-climate wine is elegant, complex, and stunningly vibrant.
The Secrets of Sauvignon, presented by Winemaker Hannes Meyer is coming to Tokai next Thursday.
Join us from 15 to 17 June for some great winter gravel fun on the legendary Agulhas Coast dirt roads.